Stormy Daniels Reveals Personal Toll of Taking on Trump in New Vogue Profile
Daniels and her lawyer, Michael Avenatti, discuss life after coming forward with allegations against the president.
Dolphin’s ‘Sexual Behaviors’ Lead French Town To Ban Swimming
The local mayor “issued the decree to preserve the safety of people.”
Ethan Hawke is Still Taking Himself, and His Work, Very Seriously
The actor, who’s approached fame and creative success in a roundabout way, is still honing his craft.
Louis C.K., Shunned After Admitting Sexual Misconduct, Makes Tentative Return to Stage
Will he be accepted by his audiences and peers?
Inside the Harrowing Hike that Nearly Killed a Solo Adventurer
Devil’s Bedstead in the Pioneer Mountains have turned deadly for other hikers. How did this one survive?
Why Air Force Vet Exposed Russian Meddling in 2016 Election
Reality Winner will spend the next several years in prison for her whistleblowing.
NASA Shows What Fire and Storms Ravaging Earth Look Like From Space
Map of aerosols shows extent of the nature's fury.
How Sex, Gold’s Gym and Arnold Cemented the Way America Works Out
"When I came back to Gold’s I told everybody, "'You’re not going to believe this guy Arnold Schwarzenegger.' I knew then."
Richard Nixon Allegedly Beat “The Hell” Out of His Wife. Why Haven’t the Claims Been Investigated?
"They had these terrible, raging fights, at high decibel," former National Security Council member Roger Morris said.
Confederate Monuments in North Carolina Will Receive Slavery Context
The decision comes after Governor Roy Cooper advocated for the removal of the monuments.
Stunning Pop Star Reveals Story of Crossing the Border
"My parents brought me to this country with nothing in their pockets but hope."
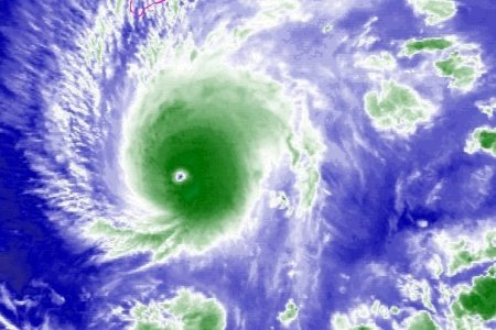
Hawaii Braces as Category 5 Hurricane Approaches
The Big Island is currently facing a hurricane warning.
Russian Hackers Now Targeting Conservative Think Tanks in Midterm Run-ups
Tech giant Microsoft is sounding the alarm about Russian hacking group "Strontium," also known as "Fancy Bear."
Madonna Under Fire After Bizarre Aretha Franklin Tribute
Critics say the Queen of Pop's Monday night tribute to the Queen of Soul was self-indulgent and inappropriate.
America’s Sexual Fantasies Laid Bare in New Book
Author Justin Lehmiller calls it the most comprehensive survey of America's sexual fantasies.
Aston Martin is Recreating an Insane James Bond Classic Car
The Aston Martin DB5 is back and better than ever before.